Why Ant Infestations Keep Returning Without Professional Treatment

Understanding why ant infestations keep returning without professional treatment highlights the importance of local contractors who can identify and eliminate hidden nests and entry points effectively.

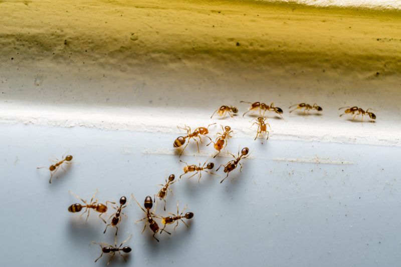
Understanding why ant infestations keep returning without professional treatment can be frustrating for property owners. Many times, ants establish persistent colonies deep within walls, beneath foundations, or in other hidden areas that are difficult to access without specialized knowledge and equipment. Even if ants are temporarily removed, their ability to find new entry points or re-establish nests means the problem often reemerges. Local contractors experienced in ant control can identify these hidden sources and implement targeted solutions that go beyond surface treatments, helping to break the cycle of recurring infestations.

Property owners in the area might explore this topic because ongoing ant issues can disrupt daily routines and cause concern about potential damage or contamination. In many cases, ants are attracted to food sources, moisture, or structural vulnerabilities that, if left unaddressed, allow colonies to thrive repeatedly. Local service providers who specialize in ant infestation control understand the common causes specific to the area and can recommend effective strategies to prevent future invasions. Keep reading to learn practical reasons why ant infestations keep returning and how professional assistance can help achieve longer-lasting results.

Get Quotes for Ant Infestation Control

  • Ant Infestation Prevention - homeowners noticing recurring ant problems may need professional inspection and treatment strategies to eliminate hidden colonies.
  • Structural Pest Control - properties experiencing persistent ant activity often require local contractors to identify entry points and apply targeted barriers.
  • Interior Ant Management - when ants keep returning inside, local pros can implement effective interior treatments to disrupt their trails and nests.
  • Outdoor Barrier Treatments - ongoing ant issues outdoors may be addressed by service providers using perimeter treatments to create a protective barrier.
  • Infestation Monitoring and Follow-up - clients facing repeated ant invasions benefit from professional monitoring and follow-up services to ensure long-term control.
Why Ant Infestations Keep Returning Without Professional Treatment
Why Ant Infestations Keep Returning Without Professional Treatment
Why Ant Infestations Keep Returning Without Professional Treatment

Understanding why ant infestations keep returning without professional treatment often begins with recognizing the nature of these pests. Ant colonies are highly resilient and can establish multiple nests within or around a property, making it challenging to eliminate them completely without specialized control methods. When homeowners notice recurring ant problems, it usually indicates that the initial efforts to remove them were insufficient or that the colony’s core remains active underground or in hidden areas. This persistence can lead to ongoing frustrations, especially when ants reappear shortly after attempts to eradicate them. Local contractors who specialize in ant control have the experience and tools needed to identify these hidden colonies and implement effective strategies to break the cycle of re-infestation.

The problems associated with persistent ant infestations often relate to both nuisance and potential property damage. Ants can invade kitchens, pantries, and other living spaces, contaminating food supplies and creating unsanitary conditions. In some cases, certain ant species, like carpenter ants, can cause structural damage by hollowing out wood within walls or foundations. Homeowners planning renovations or repairs might find that ant activity continues despite initial treatments, which can hinder progress and lead to ongoing concerns. Addressing these issues typically requires a comprehensive approach that targets both the visible ants and their nests, emphasizing the importance of professional intervention to develop an effective plan.

Properties that frequently experience recurring ant problems tend to include residential homes, especially those with accessible entry points like cracks, gaps, or poorly sealed doors and windows. Homes with nearby landscaping, mulch beds, or wood piles are also more prone to ant activity, as these environments provide ideal nesting sites. Commercial properties such as restaurants, grocery stores, or food storage facilities often face challenges with ants due to the constant presence of food sources and high traffic areas. In these types of properties, ongoing ant issues can disrupt operations and pose health risks, making professional pest control services essential for developing long-term solutions and preventing future invasions.

Local service providers who specialize in ant control are equipped to handle the unique challenges posed by different property types and infestation levels. They understand that recurring ant problems often stem from unseen colonies or structural vulnerabilities that require targeted treatment. These professionals can assess the property thoroughly, identify potential entry points and nesting sites, and apply tailored treatment plans to eliminate existing colonies and prevent new ones from establishing. For homeowners and property managers, connecting with experienced ant control contractors is a practical step toward achieving a pest-free environment, especially when previous efforts have failed to deliver lasting results.

Pest control inspection projects involve identifying hidden ant nests and entry points, skills that are essential for understanding why ant infestations keep returning without professional treatment.

Home sealing and repair projects focus on closing gaps and cracks that serve as ant entryways, which local contractors can address to prevent recurring infestations.

Soil treatment and barrier projects involve applying treatments around foundations and landscape areas, a key step in stopping ants from re-establishing colonies.

Moisture management projects target areas with excess moisture that attract ants, helping to reduce conditions that lead to persistent infestations.

Structural inspection projects assess building integrity and identify vulnerabilities that allow ants to re-enter, which local service providers can repair or reinforce.

Landscape modification projects involve removing or altering ant-friendly habitats around properties, a strategy used by local pros to minimize reinfestation risks.

Why Ant Infestations Keep Returning Without Professional Treatment

When comparing service providers for ant infestation control, it is important to consider their experience with similar projects. Local contractors who have handled recurring ant problems can offer insights into the common causes and effective strategies for long-term control. Asking about their background with ant infestations that keep returning can help determine if they understand the complexities involved, such as nesting habits or access points that are difficult to identify. This experience can be a valuable indicator of their ability to develop targeted solutions that address the root causes of the problem rather than just treating the surface symptoms.

Clear, written expectations are essential when evaluating ant control services. A reputable provider should be able to outline what their treatment process involves, what homeowners can expect during and after service, and any necessary follow-up steps. This transparency helps ensure that both parties are aligned on the scope of work and reduces the likelihood of misunderstandings that could lead to the return of ant infestations. Service providers who communicate their approach clearly demonstrate professionalism and a commitment to customer understanding, which can be especially helpful when dealing with persistent ant issues.

Reputable references and good communication are key factors to consider when selecting local contractors. Service providers with positive references from previous clients can offer reassurance of their ability to deliver effective, reliable results. Additionally, responsive and clear communication throughout the process can make it easier to address questions or concerns promptly, leading to a smoother experience. Choosing local pros known for their professionalism and transparency can increase the chances of successfully managing ant infestations that keep returning, ensuring that the treatment efforts are thorough and tailored to the specific challenges of each property.

Get a Quote for Ant Infestation Control

Property owners often search for why ant infestations keep returning without professional treatment when they are planning practical projects around their homes and businesses. Local pros provide Ant Infestation Control services for everyday jobs and straightforward project options.

Why Ant Infestations Keep Returning Without Professional Treatment
Why Ant Infestations Keep Returning Without Professional Treatment

Understanding why ant infestations keep returning without professional treatment often involves recognizing common household and property conditions. Small cracks, gaps around windows and doors, and unsealed entry points provide easy access for ants to invade indoor spaces repeatedly. Additionally, leftover food crumbs, spills, and standing water can attract ants and sustain their colonies, making it difficult to eliminate the problem without proper intervention. Property owners searching for solutions may find that simple DIY methods often fail to address the root causes, leading to recurring infestations.

Many local contractors specializing in ant control highlight the importance of thorough inspections and targeted treatment plans to break the cycle of re-infestation. They can identify hidden entry points and nesting sites that might be overlooked in routine cleaning or maintenance efforts. Engaging experienced service providers ensures that ant colonies are effectively managed and that preventative measures are put in place to reduce the chances of future invasions. For those facing persistent ant issues, consulting local pros can offer practical solutions tailored to the specific conditions of the property.

Get a Quote for Ant Infestation Control

Why do ant infestations keep returning even after treatment? Ant infestations often return because the colony's nest remains undetected or untreated, allowing new ants to emerge and re-infest the area. Local contractors can identify hidden nests and apply targeted control methods to address the root cause.

How can untreated ant nests cause recurring infestations? Untreated nests serve as a continuous source of ants, making it difficult to eliminate the problem completely. Professional ant control services can locate and treat these nests to prevent future re-infestations.

Why is it important to get professional help for persistent ant problems? Professionals have the experience and tools to find hidden colonies and apply effective treatments that are not available to the average homeowner, reducing the chances of ants returning repeatedly.

Can environmental factors contribute to ants returning without professional treatment? Yes, factors like nearby food sources, moisture, and structural entry points can attract ants and support their colonies. Local service providers can assess and address these conditions to help prevent re-infestations.

What role do ongoing maintenance and inspections play in preventing ant return? Regular inspections and maintenance by local contractors can catch early signs of ant activity and treat potential entry points, helping to keep ant infestations from recurring over time.

Understanding ant nesting habits - property owners can learn where ants tend to nest and share this knowledge with local contractors to target these areas effectively.

Eliminating food sources - identifying and removing accessible food and water sources around the property can help prevent ants from returning, with guidance from local pros.

Sealing entry points - inspecting and sealing cracks, gaps, and openings can block ants from re-entering, which local contractors can assist with during treatment.

Maintaining outdoor environments - regular yard cleanup and removal of debris can reduce ant habitats, supporting long-term control when combined with professional treatment services.

Why Ant Infestations Keep Returning Without Professional Treatment

If you are thinking about why ant infestations keep returning without professional treatment for a property, this guide is meant to help you understand this topic, the typical project types, and how different options might fit your plans.

When you are ready, you can use the quote form on this page to share a few details about your project. From there, local pros can review the basics and follow up with options that match what you have in mind.

Get a Quote for Ant Infestation Control

Ant Infestation Control Quotes